
Medida de ``oportunismo
electoral'': Gobernación
Exige PRD juicio político contra Ortiz, Gurría y
Mancera
Demanda del CEN perredista
ante la Cámara de Diputados
Los culpa del quebranto
financiero que dio lugar al Fobaproa 
Ernesto Zedillo y Carlos
Salinas son corresponsables, señala
El PAN pidió también
enjuiciar al actual gobernador del BdeM
``Ilegítimo'', usar para
venganzas un recurso jurídico: PRI 
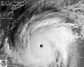
ALERTA MAXIMA EN QR, YUCATAN Y CAMPECHE POR
MITCH 

Con vientos hasta de 305 kilómetros por
hora, el huracán alcanzó
la categoría 5, la de mayor
peligrosidad. Se estima que el meteoro
tocará territorio mexicano
hoy martes o mañana. En Quintana Roo se
inició el desalojo de la
población de zonas consideradas críticas,
mientras el Ejército
informó que está listo para aplicar el Plan DN III
Ť Foto:
NOAA/Ap
Nuevo plan de apoyo antidroga entre México y EU:
McCaffrey
Se denomina Medición de Rendimiento-Desempeño, indica el zar
Propone Europa a Latinoamérica ``abrir'' las fronteras en el combate
al narcotráfico
Cocopa: recurrir a una mediación dependerá de EZLN y
gobierno 
Versión de que Figueroa Zamudio será remplazado en el
Senado 
Suiza también solicita extraditar a Augusto Pinochet

ASTILLERO Ť Julio Hernández López 
Ricardo Robles O.
``Engrandecer más su corazón'' 